4 Lomax Street

Aberdeen, WA 98520

  • Bed

  • Bath

  • 0 SqFt

  • 10 DOM

  • Built:

  • Status: Active

$55,000

X

4 Lomax Street

Aberdeen 98520

$55000

  • Bed

  • Bath

  • 0 SqFt

  • 10 DOM

  • Built:

  • Status: Active

Srinivas Kasam

CEO & Founder

(650)533-3259

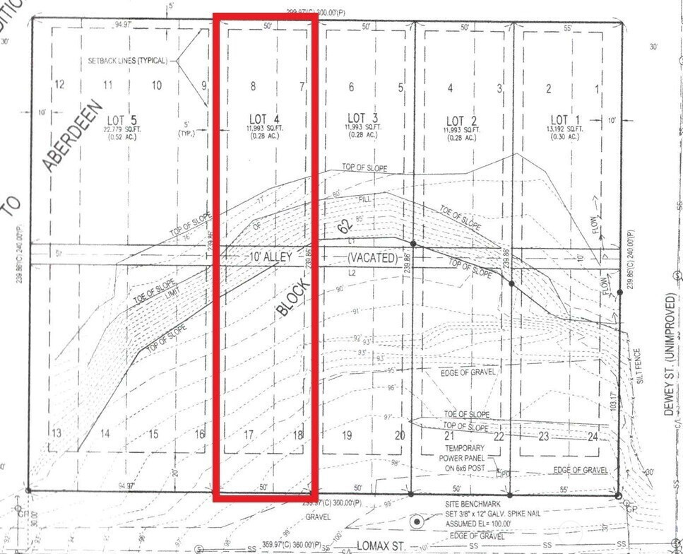
12,000 sq ft lot overlooking South Aberdeen. Build your multi-family complex or a private hilltop estate. Seller has initiated a boundary line adjustment and will complete it upon satisfaction of buyer's feasibility. This homesite is up on a hill, out of the flood zone, with no through traffic on the street. Water, power, and sewer are in the street. An area of the lots has been excavated, leveled, and graveled. The property has a completed topographic survey, geotechnical report, and utilities marked.

Download our Mobile app

Similar Properties

$40,000

  • Bed

  • Bath

  • 0 SqFt

  • 6 DOM

  • 2206 Simpson Avenue, Aberdeen, 98520

$70,000

  • Bed

  • Bath

  • 0 SqFt

  • 6 DOM

  • 2210 Simpson Avenue, Aberdeen, 98520

$60,000

  • Bed

  • Bath

  • 0 SqFt

  • 6 DOM

  • 110 S Harbor Street, Aberdeen, 98520

$57,500

  • Bed

  • Bath

  • 0 SqFt

  • 14 DOM

  • 1131 Grays Pointe Lane, Aberdeen, 98520